Vigne, sécuriser les rendements
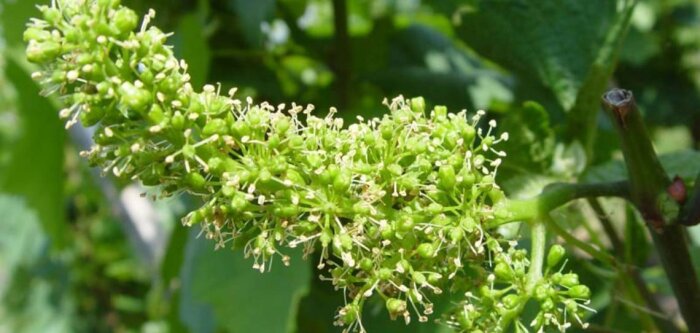
Actuellement au stade post floraison, les vignes sont en pleine croissance. De fortes hétérogénéités sont observées sur les analyses de pétioles, avec des niveaux de N et d’oligo-éléments souvent faibles hormis sur les parcelles ayant bénéficiées de programmes de nutrition adaptés.

Vigne, sécuriser les rendements
Frayssinet - Mardi 6 juillet

Actuellement au stade post floraison, les vignes sont en pleine croissance. De fortes hétérogénéités sont observées sur les analyses de pétioles, avec des niveaux de N et d’oligo-éléments souvent faibles hormis sur les parcelles ayant bénéficiées de programmes de nutrition adaptés.
En raison de la forte croissance indispensable aux futures mises en réserve et pour la réalisation des objectifs de récoltes, c’est à ces stades de grossissement des baies que les besoins sont les plus importants.